A Prefeitura de Mogi das Cruzes informou que realizará, a partir do próximo sábado (21), mudanças viárias na região da avenida Francisco Rodrigues Filho, no bairro Nova Mogilar, com o objetivo de melhorar a fluidez no trânsito.
As obras preparatórias começaram no domingo (15), com intervenções no canteiro da avenida Francisco Rodrigues Filho, na altura do encontro com a avenida Antônio de Almeida.
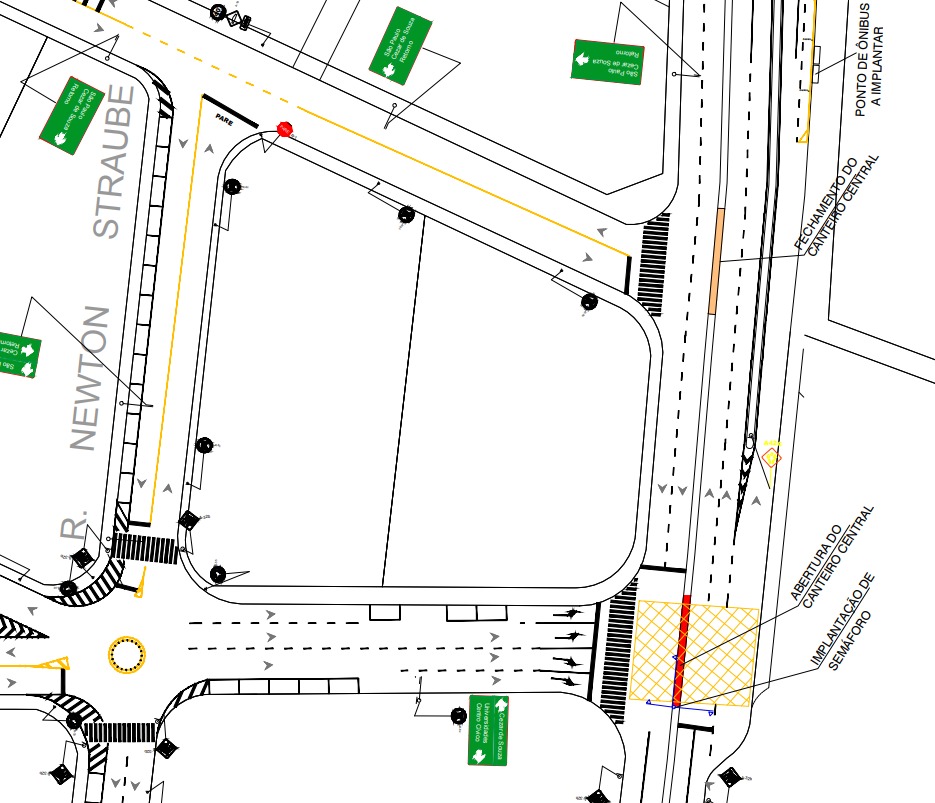
Entre as principais alterações está a implantação de mão única de direção na avenida Louraci Della Nina Tavares, no trecho entre a rua Newton Straube e a avenida Francisco Rodrigues Filho. A medida, segundo a prefeitura, deve organizar a circulação de veículos e facilitar o acesso de moradores aos condomínios da região.
Também será instalado um novo semáforo no cruzamento da avenida Louraci Della Nina Tavares com a avenida Francisco Rodrigues Filho, para disciplinar as conversões de acesso à Francisco Rodrigues Filho no sentido Cezar de Souza. Outra mudança prevista é a proibição de conversão à direita da avenida Francisco Rodrigues Filho para a avenida Louraci Della Nina Tavares.
“As intervenções foram planejadas a partir de estudos técnicos realizados pelas nossas equipes e também após ouvir moradores da região, que concentra grande número de condomínios residenciais e registra intenso fluxo de veículos”, afirmou o vice-prefeito Téo Cusatis.
Veja o projeto divulgado pela Prefeitura

“Estamos implantando mudanças importantes na sinalização e no sentido das vias para orientar melhor os deslocamentos e incentivar o uso de caminhos alternativos. Com isso, a população passa a contar com novas opções de trajeto, como uma rota alternativa para quem segue em direção a São Paulo, por exemplo”, afirmou o secretário municipal de Mobilidade e Trânsito, Felício Kamiyama.
Segundo a Prefeitura de Mogi das Cruzes, toda a área receberá reforço de sinalização para orientar os motoristas sobre as novas regras de circulação. A Secretaria Municipal de Mobilidade e Trânsito informou que fará o monitoramento das alterações e poderá realizar ajustes, caso necessário.
Fique ainda mais perto das notícias de sua cidade seguindo o Notícias de Mogi no Instagram e no Google Notícias